조항정보

본문 바로가기
조항정보

조항정보

강릉루어낚시 동해안루어낚시 강릉루어선상낚시

페이지 정보

작성자 마린초이스 작성일17-07-09 22:23 조회6,019회 댓글0건

본문

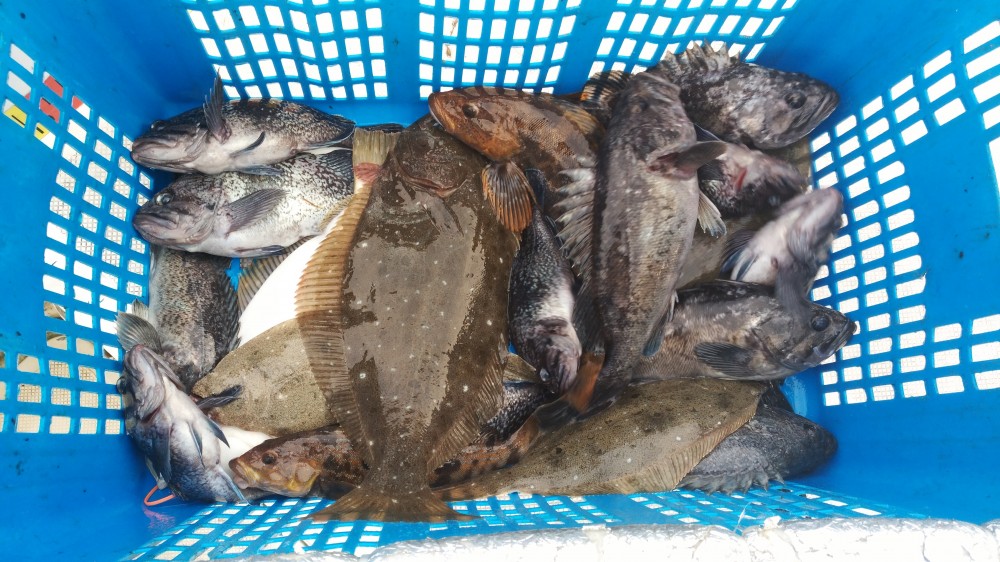
오늘은  동해루어선상낚시 동해안선상루어낚시 다녀왔습니다
우럭  대방어  조황입니다
  • 페이스북으로 보내기

댓글목록

등록된 댓글이 없습니다.


조항정보

INFORMATION

상담가능시간 09:00 ~ 19:00

010-3343-6078

입금정보 : 수협 1030-0570-9782 이동욱
이용약관 개인정보처리정책
상호강릉피싱호 주소강원도 강릉시 주문진읍 매맥이윗길 12-4 대표이동욱 사업자등록번호852-92-00202 통신판매업신고2017-강원강릉-0082호
개인정보 보호책임자이동욱(schjcltns@naver.com) Copyright © 강릉피싱호. All rights reserved.